活〆ムラソイ
2026年02月19日
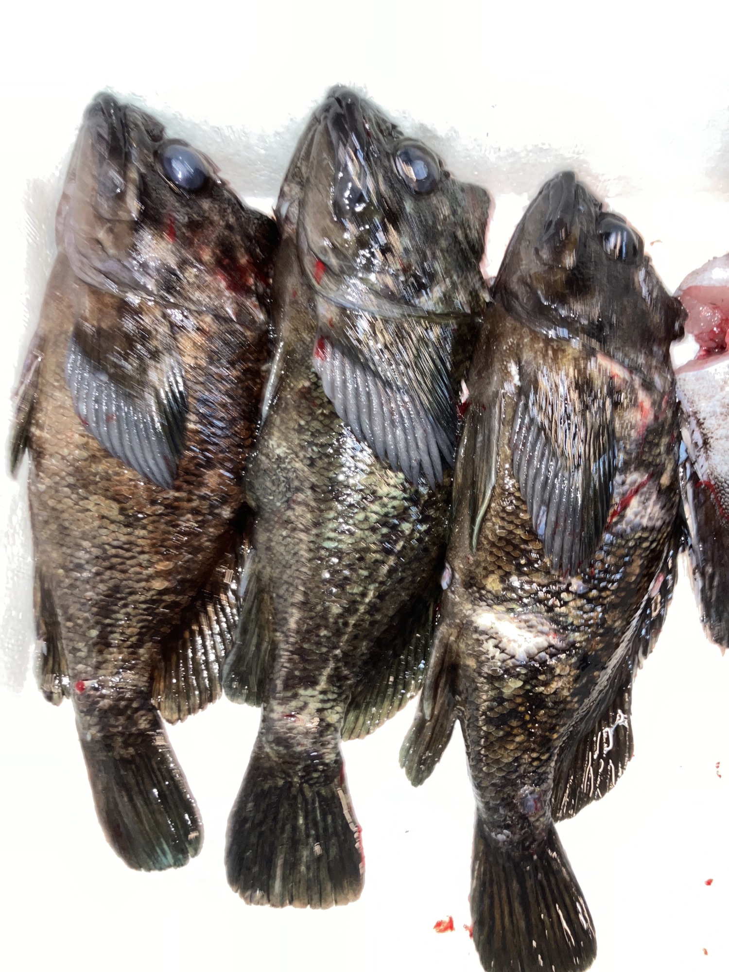
『活〆ムラソイ』 今朝も寒い朝が続いていますが、やっぱり宮城沖には春が近いのかもしれませんね♪ 春先に美味しい『ムラソイ』が七ヶ浜沖の網に掛かって来ました♪ 他のソイよりも少ない数しか漁れてこないソイなんですが食べれば白身で美味しい魚です♪今朝は珍しく網に掛かってきて「活物」での水揚げでしたから頂いてきました♪ お刺身でも焼き魚でも、煮魚、唐揚げ♪なんでも美味しく頂ける魚ですね♪ (^∇^)
旬味酒好 かん は、全国各地から選りすぐりの 地酒 と旬の肴を楽しめる、仙台 国分町の小さな 居酒屋 です。名古屋コーチン の玉子料理、イベリコ豚、手打ち蕎麦、ササニシキをご賞味ください。<BR> 地酒は 宮城 杜民 日高見 乾坤一 綿屋 伯楽星 橘屋 浦霞 その他 陸奥八仙 田酒 秋田杜氏 月の輪 浜地鳥 東の麓 山吹極 根知男山 飛露喜 等全国各地から取り揃えております。